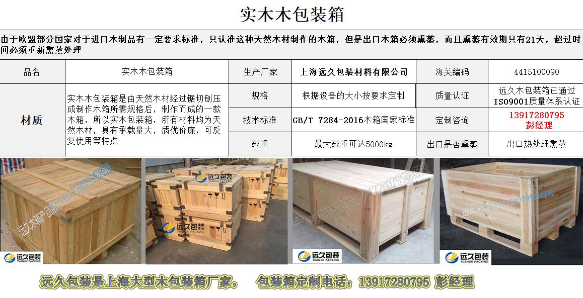
包裝是為產品服務的,無論是木托盤還是包裝箱都是構成商品的重要組成部分,是實現商品價值和使用價值的手段,是商品生產與消費之間的橋梁,與人們的生活密切相關。在包裝行業里用天然木材制作,用于商品運輸包裝的器具都統稱為木制包裝,在出口運輸中歐盟部分國家對于進口木制品有一定要求標準,只認準天然木材制作的木制包裝。 因為天然木材屬于綠色環保材料,它不易產生化學反應,不會腐蝕物品,能夠確保產品的安全,用不著擔心對人體的健康造成威脅。而且還可以防水、防潮、防腐蝕等作用,在進行產品物流運輸的過程中,不僅有很好的保護功能,而且堅固耐用、適合進行長途運輸,由于優勢明顯,所以成為越來越多人的選擇。 全部由天然實木制作而成的木箱稱之為天然實木木箱,實木木箱是由天然木材經過鋸切、刨壓成制作木箱所需規格后組裝加工而成,所以實木木箱所有材料均為實木(松木,楊木,硬雜木等),具有承載量大、質優價廉、可反復使用等特點。 天然實木木箱在選取材料時,對木材的含水率有一定的要求,一般含水率應在20%以下,方可用來制作木箱,對于天然木材自帶的蟲眼和節子等不可逆的缺陷,也有一定的標準,不符合標準的材料不可用來制作木箱,高品質的天然實木木箱在生產過程中有嚴格的要求,主要有材料要求、成箱后尺寸要求、連接要求和木箱外觀要求,具體如下: 1、木材含水率不大于15%,含水率測定方法按GB12626.2執行。 2、活節原則上不限,但最大節子直徑不得超過材寬的二分之一。 3、死節、漏節不貫通的一律不計,但不得在包裝木箱的外表面存在,貫通的節子直徑大于5mm時,應在包裝木箱外表面用原木嵌補。 4、不貫通的裂紋不限,但不允許有裂紋貫通。 5、任意材長1m時,蟲眼的個數不得超過15個,小于5mm的蟲眼不計,條狀蟲眼不得超過3個,貫通蟲眼大于5mm用原木嵌補。 6、鈍棱最嚴重的缺角寬度不得超過材寬的40%,高度不得超過材厚的二分之一。 7、腐朽部分的最大寬度不得超過20mm,長度不得超過單板面的十分之一。斜紋紋理的傾斜度不得超過五分之一。 
托盤知識
行業新聞










上海工商
滬公網安備 31011702003150號